Линки доступности

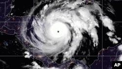
Мощный ураган «Айота» вышел на берег в Никарагуа


Власти Никарагуа и Гондураса эвакуировали жителей прибрежных районов

Американские синоптики сообщили, что ураган «Айота» усилился до катастрофической пятой категории перед выходом на берег в Никарагуа.

В сообщении Национального центра по наблюдению за ураганами говорилось, что «Айота», как ожидается, вызовет «катастрофические ветры, опасный для жизни штормовой нагон и ливневые дожди».

Скорость ветра внутри урагана достигала 260 километров в час, и, как ожидалось, он вышел на берег почти в том же месте, что и ураган «Эта» две недели назад.

Власти Гондураса и Никарагуа в понедельник поспешили эвакуировать жителей прибрежных районов в связи с приближением шторма.

XS
SM
MD
LG